How to View Cost Transfer Approvers


Overview


This article describes how to search for the Cost Transfer Approval Group after a Cost Transfer has been submitted and view the Level 4 Financial Unit information.

Essential Information


Next Steps


Find Approval Group

Method 1: 

     1. Go to bah.ucsd.edu

     2. Select Budget & Finance.

     3. Click on Budget & Financial Management.

     4. Select Project Cost Transfer Panorama.

     5. Launch Report.

     6. Select Transfer Workflow Details.

     7. In the Transfers Workflow Details report, enter the following parameters:

          a. Date range that includes the Cost Transfer date e.g., one month

          b. Original Trans Number: Original Cost Transfer Transaction #

     8. Select Apply.

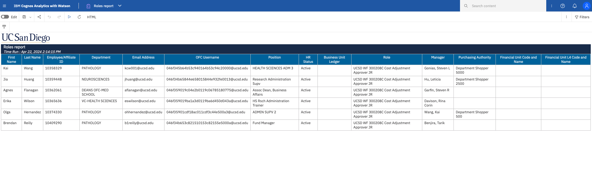
     9. In the results, under Assign Role: indicate the role of the Cost Transfer Approver assigned for this Transaction. E.g., UCSD WF 300208C Cost Adjustment Approver JR 

     10. Click on the role name, which is a drill-through that goes to the Campus User Roles report.

     11. In the report, select Apply: the list of names populated are individuals who can approve the Cost Transfer. More detailed instructions can be found below, in the section titled 'Use Campus User Roles Report to Look Up Cost Transfer Approvers'.


Method 2: Identify the pending transaction 

     1. Go to Oracle here.

     2. Use the Company Single Sign On.

     3. Go to Projects and Awards.

     4. Select Costs.

     5. Expand the TASK bar on the right hand side.

     6. Under Review and Adjust, select Manage Project Costs.

     7. Identify Transaction Number.

     8. Search for the Transaction.

     9. Click on the Transaction Number.

     10. Go to Adjustment History page.

     11. Click on the field under Adjustment Status.

     12. An Approval History window will pop up. Look for the Assigned to line, it will show the role of the Cost Transfer Approver.

     13. Run the Campus User Roles report (on bah.ucsd.edu, under the Information Lookup tab), searching for the specific role, and a list of Cost Transfer Approvers will show up. More detailed instructions can be found below, in the section titled 'Use Campus User Roles Report to Look Up Cost Transfer Approvers'.

 

Use Campus User Roles Report to Look Up Cost Transfer Approvers

     1. Go to bah.ucsd.edu

     2. Select Budget & Finance

     3. Click on Information Lookups.

     4. Select Campus User Roles.

     5. Launch Report.

     6. For additional instructions view KB0032242: How to Look Up User Roles in Oracle.

     7. In the Campus User Roles Report, in the Role Name Contains field, enter L4 unit code e.g. 300208C, from the Assign Role obtained in either Method 1 or Method 2.

     8. Select Apply, the list of names populated are individuals who can approve the Cost Transfer

 


Find My Level 4 Financial Unit

      1. Go to bah.ucsd.edu

      2. Select Company Single Sign On.

      3. Use your UCSD Active Directory Credentials to Sign on.

      4. Select Chart of Accounts Panorama.

      5. Run Report.

      6. Select or Type your Financial Unit and Apply.

Supplemental Guides


University Cost Transfer Training

Questions?


If you need any additional assistance, please submit a ticket here.